Шарики на коже у собаки-щенка
- Войдите или зарегистрируйтесь, чтобы получить возможность отправлять комментарии
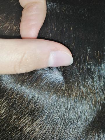
У собаки-девочки (9 месяцев от роду) породы Стаффордширский бультерьер на теле появились какие-то участки с маленькими шариками цвета кожи, они очень плотные. Если смотреть на собаку против шерсти, то их очень видно, а если смотреть обычно, то они вроде и не заметны. Сейчас нет возможности из-за тяжелых финансовых проблем пойти на консультацию в ветеринарную клинику. Большое спасибо за ответ заранее.
Забыла написать, что кушает она как и обычно, аппетит есть, стул хороший и очень подвижная, как и обычно.
Здравствуйте.
Такие вещи нужно только смотреть. Вариантов,что бы это могло быть, несколько. Но Вам же нужен правильный диагноз, а если еще точнее, то что с этими "шариками" делать? Думаю, что без осмотра врача вам не обойтись. Если образования не увеличиваются, то визит на некоторое время можно отложить.
Не хочу никого ничем пугать, но когда у нашего мопса появился один такой шарик, он перерос в большую черную папиллому. Сколько не водили по ветеринарным лечебницам, разводят только руками, всё что угодно могло спровоцировать, может аллергическая реакция, может ослабленный иммунитет дал о себе знать, а может и самое страшное - это онкология. Развернутый анализ крови помог бы Вам, у Вас ведь есть государственные больницы? Так должно быть не дорого.
Здравствуйте! У меня лабрадорчик, но уже взрослый 5 лет. Очень похоже как у Вас на фото, ветеринар сказал жировик, нужно удалить под местной анестезией, так как может перерости в злокачественную опухоль. Хотя по молодости были у нас и папилломы, как пишут выше, их перевязывали нитью и они со временем отпадали. Потом назначали курс витамин. Вам стоит обратиться к врачу! Удачи.
Здравствуйте.
Во-первых, это не липомы (жировики). В таких размерах мы бы их не увидели, так как они сливались бы с кожей. Липомы мягкие по консистенции, а эти образования плотные.
Во-вторых, жировики никогда не перерождаются в злокачественные формы. Возможно, ваш ветеринар говорил о других опухолях? Если нет, то он полный профан в медицине.
- Войдите или зарегистрируйтесь, чтобы получить возможность отправлять комментарии



